History of the Village:
Wheeling Through The Years
The soft cover book Wheeling Through the Years
an oral history of Wheeling, an Illinois village contains
over 250 8x11 pages, and is available for purchase through the
Historical Society for $25.00 directly, or by mail with a $5.00
shipping and handling charge.
This book contains chapters on growing up in Old
Wheeling, school days, girl scouts, homesteading, Yankee farmers,
German farmers, Wheeling Train Station, Crane farms, Denoyer farm,
Milwaukee Avenue, Early planes and airports, prohibition, World War
II, Hispanics, organizations, churches, and much more. Illustrated
with photographs from the 1700's through the 1980's. Some
samples are included below.
If you are at all interested in Wheeling's past, we would like very much for you to join us in the preservation of our history and artifacts. If you would like to become an active member of the Wheeling Historical Society, please fill out the online application and mail it to us.
THE FORKE FARM extended from the Des Plaines River, across Milwaukee Ave. and on west past the Soo Line Tracks.
( Click document to enlarge ) |
 |
 |
STEAM TRACTOR on Wolf Farm. Self-propelled tractors of this type were not used to pull plows. They provided stationary power to drive threshing machines, balers, silo fillers and other farm machines and could pull them from place to place. |
| BALER was driven by early engine. Note the long drive belt. It served to keep sparks from the engine away from hay or straw, always baled in a cloud of dust. Even so, there often were fires that threatened farm buildings. |
 |
 |
CEMENT BLOCKS were one of the products of Haben's gravel pit, which provided gravel for road work in the area as well as aggregate for the blocks. Some designs are shown here. They covered anything that could be cast in concrete. |
| REAPER AND BINDER driven by Victor Haben. It cut the grain and tied it in bundles which were picked up for threshing. |
 |
 |
GASOLINE-POWERED TRACTOR had engine mounted over spiked wheels and could pull different attachments for plowing or other tasks. This one was an innovation on the Haben farm. |
| A LANDMARK on Dundee Rd. is the Koeppen farm and its stand. |
 |
 |
TRACTOR AND THRESHING MACHINE went from farm to farm in harvest time. Neighbors exchanged manpower and teams of horses to get the job done. Photo is from the Haben farm. |
| HORCHER FARMHOUSE is well over a hundred years old. Two-story section is the original structure, built with square nails. Low rooms at left were added as the family grew. |
 |
 |
BLACKSMITH SHOP on the Horcher farm. Joseph Horcher was a skilled blacksmith who set up the shop to keep his farm equipment in order and to make repairs for neighbors. |
| NICK HORCHER with his steam driven tractor, pulling threshing machine that served several neighboring farms at harvest. |
 |
 |
BUFFALO CREEK FARM BILL reveals the costs of milk and other necessities in 1921, along with the going rates for labor. Were Joe and Casper more skilled than Pete and Wilbur? |
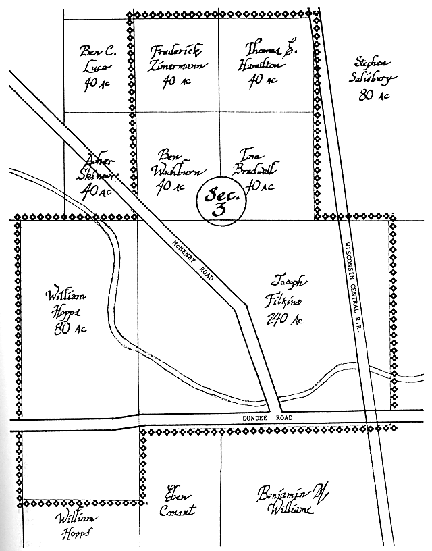
MAP DATED 1857 shows German names alongside those of early Yankee settlers. In the northeast quarter of Section 4 is land of "J. Horaker." It is the farm of Joseph Horcher, whose name, like his descendents', often was misspelled. |
 |
 |
THE CRANE FARMS covered the area outlined on this old map, which shows the names of the six Yankee settlers who homesteaded the land. Later we will see how the Buffalo Creek Farm Subdivision was created, with portions of the farm zoned for residential, business and industrial use. |
| THE SOO LINE DEPOT was located just south of Dundee Rd. |
 |
 |
WATER TANK at Wheeling Station filled the tenders of steam engines with water pumped from the Des Plaines River. |
| BILL FOR COAL indicates $3.60 for 950 lb. or about $7.50 per ton in 1922 at Weidner's. |
 |
HUNTERSVILLE is a subdivision at Wheeling Station that never happened. It was planned by Catherina Mors and her daughter Carrie in 1892 but was vacated in 1894 by M.W. Knittel, who bought the property from them to add to his adjacent farm. Map shows hotel and railway depot that existed at that time. |
 |
|